




$15,000
Est. $84/mo1 Vac/Kiptree Dr/Vic Deerbank, Lake Elizabeth, CA 93532
About this home
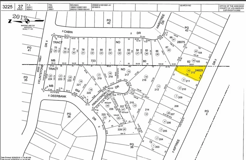
8695 SQ FT residential lot in Elizabeth Lake. The lot has a nice view of open spaces across paved Kiptree Dr. APN 3225-037-010
infoProperty Facts
Lot Size
8,695 sqft
Days on Market
0
HOA Fee
N/A
MLS #
SR25223876
chairInterior Details
garageParking
deckExterior & Lot
Lot & Grounds
Lot Features
Irregular Lot
Water Source
Public
diversity_3Community & HOA
Association Info
Community Features
Biking, Foothills, Fishing, Hiking, Horse Trails, Lake, Near National Forest, Rural
Mortgage Calculator
$0
Nearby Schools
| Rating | School Name |
|---|---|
9 | GreatSchools High (Demo) public School • ratio 22:1 |
7 | Valley View Elementary (Demo) public School • ratio 18:1 |
6 | Lincoln Middle School (Demo) public School • ratio 20:1 |
NR | St. Mary Example Academy (Demo) private School • ratio 12:1 |
Walkability
Market Insights
Estimated Value
Market Temperature
Balanced market
Avg. time on market
This is a Balanced Market. Homes are selling at a moderate pace.
Similar Homes You Might Like
Based on price, location, and features
Recently Sold
No similar listings found at this time.